发烧论坛

注册

 

发新话题 回复该主题

黑胶转录与CD音频的区别 [复制链接]

查看: 9971|回复: 42
1#


黑胶转录与CD音频的区别

   黑胶转录先在国外网站兴起,国内的网站也有不少人在弄,制作发布、下载或转载分享非常热闹,黑胶转录受到大家喜好。听黑胶转录最直接的感觉是比CD抓轨音频,甚至比原版CD的听感好和舒适感强。

   黑胶转录是否真的值得去做?有位叫jimdrp 的网友为做黑胶唱片转制实验试听专门转录了一批24bit-96kHZ、24bit-44.1kHZ和从CD抓轨16bit-44.1kHZ 格式是WAV,在网上发布(http://music.88bx.com/viewthread.php?tid=48597&highlight=%BA%DA%BD%BA),供大家试听和比较。
   另一个网友jmlcy(在19楼)发布了这些音频的频谱图,让我们比较直观地了解,黑胶转录与CD音频的区别。如果这些频谱图是准确的,黑胶转录受欢迎就找到了科学的根据,而不仅仅主观的感觉了。希望有条件的朋友验证一下。
   截取钢5第1乐章第3分钟前后的频谱图如下:
1 、24bit-96kHZ之LP-WAV音频


2、24bit-44.1kHZ之LP-WAV音频


3、16bit-44.1kHZ之CD-WAV音频


可以看出24bit-96kHZ之LP-WAV音频频响明显要宽,高频达到了32kHZ,听音感觉也是如此,CD音频实际上将22kHZ以上的高频截掉了,严格意义上来说,CD音频并不是无损音频。


  根据CD唱片制作原理的资料介绍,当年制订CD标准时,认为人的听觉最高只能到20KHZ,就把CD的采样频率定在22kHZ(两声道为44kHz),实际上就把22kHZ以上的高频截掉了。现在有研究表明,20kHZ以上的高频,耳朵不一定能分辩出声音,但由于声波压力的存在,还是会影响听声音的感觉。
  采样频率是决定数字音频的频响宽度,44kHz格式的只能到22kHZ,96kHz格式可达到48kHz。黑胶转录的24bit-96kHZ音频,可把22kHZ以上的信息记录和播放,22kHZ-48kHz这个频段的信息还是很强烈的。

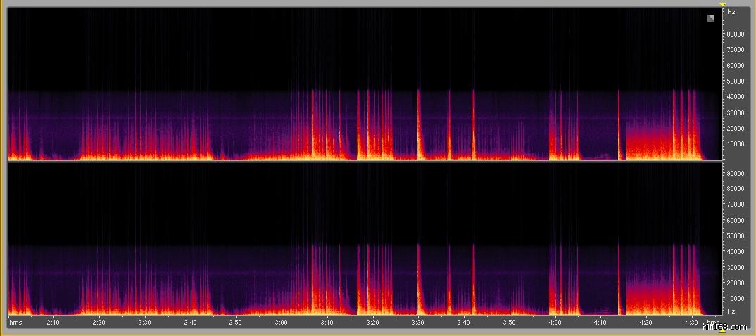
   以下是黑胶转录24bit-96kHZ拉威尔《波莱罗》最后5分钟的频谱图。(图 4)
          

   由此看来,黑胶转录为24bit-96kHZ格式是很有意义的。在 24bit-192kHZ格式音频中,48kHz以上的信号是威弱的。以下频谱图是黑胶转录24bit-192kHZ格式《幻想交响曲》  “断头台”一段的频谱:(图 5)
最后编辑szchengl 最后编辑于 2011-02-28 12:47:33
本主题由 版主 eric 于 2011/2/28 12:48:13 执行 设置精华/取消 操作
分享 转发
TOP
2#

黑胶转录与CD音频的区别(续)

花了一个多月时间,陆续从网站上(绝大部分是老外)下载二百来个黑胶转录,用Adobe Audition 3.0(AU)查看了部分黑胶转录的频谱图,现贴上供大家参考。

           1、莱纳版《天方夜谭》96k/24b黑胶转录与CD44.1k/16b对比,(为了直观对比,CD转为96k/24b作图)CD的在22以上KHz被截掉。






3、DMS Delo版《四季》第一轨(春天第一乐章)44.1k/16b黑胶转录与CD44.1k/16b频谱图对比。(LP比CD信号强一点)



3、直刻黑胶转录96k/24b,boxset.ru:Super High-End Audiophile LPs (M & K) The Power And The Glory 1 & 2[科普兰-普通人号角]。(频锋清晰)



4、在本网站下载的帕尔曼《苏格兰幻想曲》



5、Beethoven - The Piano Concertos - Fleisher, CO, Szell, - 24-96 vinyl rip, chw,PC5-I,音效比较差,频谱图出现模糊云状


6、皇家芭蕾 ANSERMET(胡桃夹子)_Track02 192k的频谱图(频宽超过60kHz)




动态越强,22kHz的信号越强。图谱清晰美观,音效也较好。
最后编辑szchengl 最后编辑于 2011-02-28 16:30:07
TOP
3#

这倒真是直观了
TOP
4#

在早几年前论坛上面也有大侠做过比较。LP信息的丰富是不可置疑的!但是一定要状态好的LP碟才行。
TOP
5#

支持 黑胶转录。。。
期待 艺术家 前后级 早曰 上市
TOP
6#

也来了解了解。
TOP
7#

很直观
TOP
8#

请问哪儿有黑胶转录的服务?
最愛奚秀蘭並因奚秀蘭而發燒
我發表的以奚秀蘭爲主題的重要帖子的鏈結:http://post.baidu.com/f?kw=%DE%C9%D0%E3%C0%BC
TOP
9#

这也说明了为什么转录黑胶一定要用高格式去录制。论坛日后都会拿出一些黑胶转录的文件与大家分享。
TOP
10#

该用户帖子内容已被屏蔽
TOP
发新话题 回复该主题